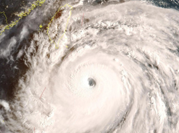
A világ idei legerősebb trópusi vihara, a Ragasa közelít Dél-Kína partvidéke felé, ezért kedden Hongkongban, Makaón és a szomszédos Kuangtung tartományban is rendkívüli intézkedéseket vezettek be - jelentette a kínai állami média.
A jelentések szerint a Ragasa nevű szupertájfun várhatóan szerda reggel ér partot, erőteljes széllel és heves esőzésekkel, írja az MTI.
Hongkongban kedd délutánra a 8-as viharjelzést adták ki, amely a harmadik legmagasabb riasztási szint. Ennek nyomán az iskolák és számos üzlet zárva tart, miközben a tömegközlekedési eszközöket is korlátozzák, közte körülbelül 700 repülőjáratot töröltek.
A hongkongi meteorológiai szolgálat szerint a Ragasa tájfun óránként 220 kilométeres széllel is tombolhat, és szerdán hurrikánerejű széllökések, valamint akár 4-5 méteres tengerszint-emelkedés is előfordulhat. A vízszint várhatóan két méterrel emelkedik a part menti területeken - áll az előrejelzésben.
A szomszédos Makaón szintén elrendelték az iskolák bezárását, és megkezdték az evakuálási intézkedéseket. A dél-kínai Kuangtung tartományban kedd délelőtt a legmagasabb szintű vészhelyzeti riasztást adták ki, miután a helyi meteorológiai központ szerint a szupertájfun 24 órán belül érheti el a szárazföldet Csuhaj városa és Hszüven megye között.
A tájfun korábban hétfőn áthaladt a Fülöp-szigetek északi részén, ahol Ferdinand Marcos elnök teljes riadókészültséget rendelt el, miután a vihar maximális szélsebessége elérte az óránkénti 205 kilométeres sebességet.



A FŐSZAKÁCS AJÁNLATA
ÁLLÁSHIRDETÉSEK
Helységnévtár




